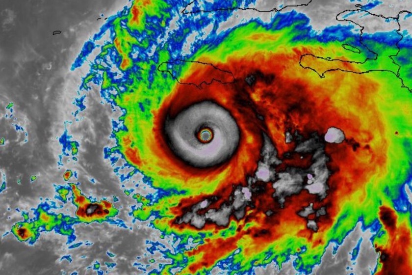
«Me quedo sin palabras por lo aterradoras que son estas imágenes». Con estas palabras del meteorólogo detrás de Backpirch Weather describió lo que piensan todos los expertos Mira cómo Melissa alcanzó los 233 km/h y 941 mbar. Eso significa ver en vivo y de primera mano cómo “el huracán alcanzó una simetría casi perfecta a 185 kilómetros al sur-suroeste de Kingston” (Jamaica).
Especialmente porque (según el Centro Nacional de Huracanes) Es cuestión de tiempo que alcance la categoría 5 e inmediatamente después provocar en la isla «Daño con pocos o ningún precedente».
Una tendencia preocupante. Melissa ha estado en el radar de todos los que monitorean el corredor de huracanes durante días. De hecho, había empezado a llamar la atención por algo extraño: Se movía extremadamente lento.. Ahora Melissa se mueve a unos siete kilómetros por hora, pero estos días ha llegado a los tres.
Esto encaja con investigaciones de los últimos años que sugieren la velocidad de los huracanes. ha declinado. Y esa disminución es importante porque “una tormenta más lenta generalmente significa más inundaciones y potencialmente más marejadas ciclónicas”.
Pero Melissa quiere ser más que una simple tendencia. Porque, según explicaron a MeteoredEl huracán Melissa “se ha fortalecido explosivamente y podría alcanzar la categoría 5 antes de tocar tierra en Jamaica”. 12 horas fueron suficientes. Y la cosa se está poniendo más seria: “El modelo europeo prevé precipitaciones de más de 500 mm en el este de Jamaica, el suroeste de Haití y las regiones orientales de Cuba”.
es cierto que Como señaló Michael Lowry“Si algo demostró Melissa hoy es la dificultad de predecir las fluctuaciones de intensidad a medida que los huracanes alcanzan su punto máximo”; pero se apresuró a añadir: “En cualquier caso, la poderosa Melissa se mantiene firme”. Es más, Los videos que llegan dan miedo..
Lo que viene. Como explicó Álvaro OliverMelissa “es de categoría 4 y no es raro que llegue incluso a 5, con vientos superiores a 250 km/h”. Pero lo especial será lo que decíamos, su “movimiento muy lento”. Eso podría provocar lluvia y Causar un «Gran devastación en los próximos tres días».
en cuba Desplazarán a casi un millón de personaspero los jamaiquinos no tienen muchas posibilidades. Y eso es exactamente lo que puede desencadenarlo. una catástrofe en cámara lenta.
Los próximos días no sólo serán cruciales para rescatar a cientos de personas; pero también para entender por qué el Caribe se está convirtiendo en una trampa mortal.
Imagen | CIMS (sobre Álvaro Oliver)
En | Si la pregunta es qué sucede cuando un huracán entra en una transición extratropical, veremos la respuesta el domingo: Gabrielle está a la vuelta de la esquina.











